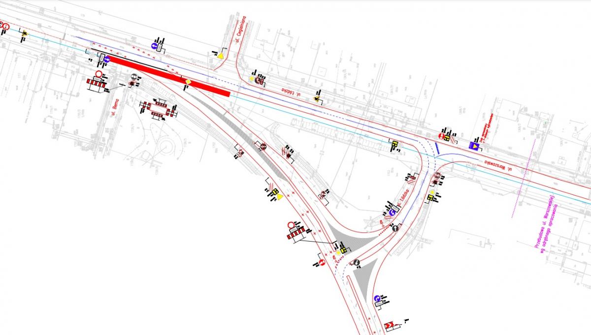
Znaki na trasie łączącej Pabianice i Ksawerów już stoją przy drodze. Na razie są zakryte, ale nowa organizacja ruchu planowo obowiązywać będzie od 20 września (poniedziałek).
- Zmiana organizacji ruchu wynika z konieczności przebudowy fragmentu torowiska tramwajowego znajdującego się na przecięciu z drogą wojewódzką – wyjaśnia Małgorzata Wilczek, kierownik działu przygotowania i realizacji inwestycji (Progreg InfraCity). - Zdemontowane zostaną istniejące bariery, aby poprowadzić ruch starym śladem drogi oraz istniejącym łącznikiem do DW482.
Dla kierowców jadących od strony Łodzi oznacza to, że zamiast jechać łukiem w ulicę Partyzancką, będą musieli pojechać na wprost (ul. Cegielnianą) w kierunku Warszawskiej. A dalej albo kontynuować jazdę do miasta ul. Warszawską, albo skręcić w prawo w Łódzką i dalej w lewo w Partyzancką.
Ci, którzy kierować będą się w stronę Łodzi z Partyzanckiej, będą musieli skręcić w prawo w Łódzką, a następnie w lewo. Tu jest ważna zmiana! Bo skręcający będą mieć pierwszeństwo. Jadący na wprost z ul. Warszawskiej będą mieli znak „STOP”.

Drogowcy będą prowadzili roboty torowe na fragmencie torowiska, znajdującym się akurat na przecięciu drogi wojewódzkiej.
Zamknięte zostanie również skrzyżowanie ul. Łódzkiej z ul. Bema w Ksawerowie. W projekcie uwzględniono również nowe znaki na ulicy Łaskiej w Ksawerowie. Stanęły na wypadek kolejnych zmian w tutejszej organizacji. Ten odcinek na razie będzie jednak wykluczony z ruchu.
0 0
Oj będzie sajgon. Lepiej od razu postawić budkę ze stójkowym.
Użytkowniku, pamiętaj, że w Internecie nie jesteś anonimowy. Ponosisz odpowiedzialność za treści zamieszczane na portalu zyciepabianic.pl. Dodanie opinii jest równoznaczne z akceptacją Regulaminu portalu. Jeśli zauważyłeś, że któraś opinia łamie prawo lub dobry obyczaj - powiadom nas [email protected] lub użyj przycisku Zgłoś komentarz